Bluesky Facebook Reddit Email

Lava attraction: 74 new beetle species found hiding in plain sight on a Hawaiian volcano

12.11.15 | Pensoft Publishers

AmScope B120C-5M Compound Microscope

AmScope B120C-5M Compound Microscope supports teaching labs and QA checks with LED illumination, mechanical stage, and included 5MP camera.


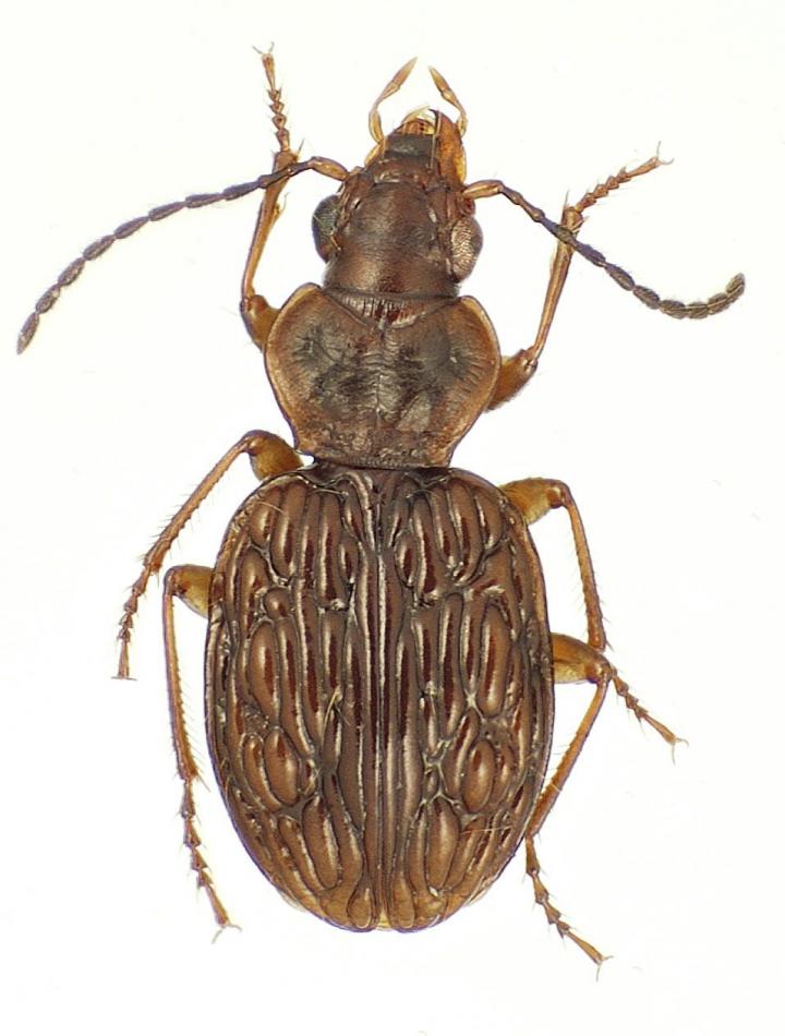
Confined to the limits of Haleakala volcano, Maui Island, Hawaii, the beetle fauna there turns out to be not only extremely diverse, but very abundant as well. When Prof. James Liebherr of the Cornell University Insect Collection thoroughly sampled beetle populations on the volcano, he identified 116 species of round-waisted predatory beetles, including 74 new to science. The taxonomic revision, complete with descriptions of the new species, is now published in the open-access journal ZooKeys .

The present discoveries and observations are certainly surprising due to their scale, even though it has been long known that the Hawaiian Islands support disproportionately high levels of biodiversity. For this group of native round-waisted beetles, called Mecyclothorax in the zoological naming system, there are 239 species across the Hawaiian Islands, all of them descended from a single colonizing species.

The 116 species known from Haleakala make that volcano the center of biodiversity for this group within Hawaii. These beetles' evolution during the 1.2-million-year lifespan of Haleakala volcano means they have speciated faster than most organisms on Earth, including the Hawaiian Drosophila and the cichlid fishes of eastern Africa.

No less striking is the fact that the 74 newly described beetle species previously evaded discovery within the limits of Haleakala's 1,440 km2 of surface area. Reasons for this include the restricted distributions of many of the beetle species, and the previous lack of comprehensive field sampling. During his research, Prof. Liebherr examined all quarters of the mountain to eventually find many places of 1' latitude × 1' longitude where more than 20 Mecyclothorax species lived closely together within a limited area of forest.

Most of these diverse microhabitats were discovered in windward rainforests. Moreover, different forest areas, geographically isolated from each other by volcanic lava flows, steep valleys, or extensive mudflows, supported different sets of species. "Haleakala volcano is a large pie with different sets of beetle species living in the different slices," comments Prof. Liebherr. "Actually the different pie slices are just like the original Hawaiian land divisions called ahu pua'a, showing that the Hawaiian people had a keen sense for how their island home was organized."

Additionally, the round-waisted beetle species seem to thrive across a wide range of altitudes, with their populations covering the major part of the mountain's height. Historical as well as modern records have identified representatives of these insects from 450-metre elevation up to the volcano's summit at 3000 m. However, given land conversion and the influx of alien invasive plants, habitats below about 1000 m have been seriously disrupted, and these elevations support few native beetles.

Looking to the future, Liebherr points out that "the substantial level of sympatry, associated with occupation of diverse microhabitats by these beetles, provides ample information useful for monitoring biodiversity of the natural areas of Haleakala."

###

Original source:

Liebherr JK (2015) The Mecyclothorax beetles (Coleoptera, Carabidae, Moriomorphini) of Haleakala-, Maui: Keystone of a hyperdiverse Hawaiian radiation. ZooKeys 544: 1-407. doi: 10.3897/zookeys.544.6074

ZooKeys

Keywords

Article Information

Contact Information

James K. Liebherr
jkl5@cornell.edu

How to Cite This Article

APA:
Pensoft Publishers. (2015, December 11). Lava attraction: 74 new beetle species found hiding in plain sight on a Hawaiian volcano. Brightsurf News. https://www.brightsurf.com/news/86G3R69L/lava-attraction-74-new-beetle-species-found-hiding-in-plain-sight-on-a-hawaiian-volcano.html
MLA:
"Lava attraction: 74 new beetle species found hiding in plain sight on a Hawaiian volcano." Brightsurf News, Dec. 11 2015, https://www.brightsurf.com/news/86G3R69L/lava-attraction-74-new-beetle-species-found-hiding-in-plain-sight-on-a-hawaiian-volcano.html.