Bluesky Facebook Reddit Email

University of Guam: Two climate patterns predict coral bleaching months earlier

07.08.20 | University of Guam

Garmin GPSMAP 67i with inReach

Garmin GPSMAP 67i with inReach provides rugged GNSS navigation, satellite messaging, and SOS for backcountry geology and climate field teams.


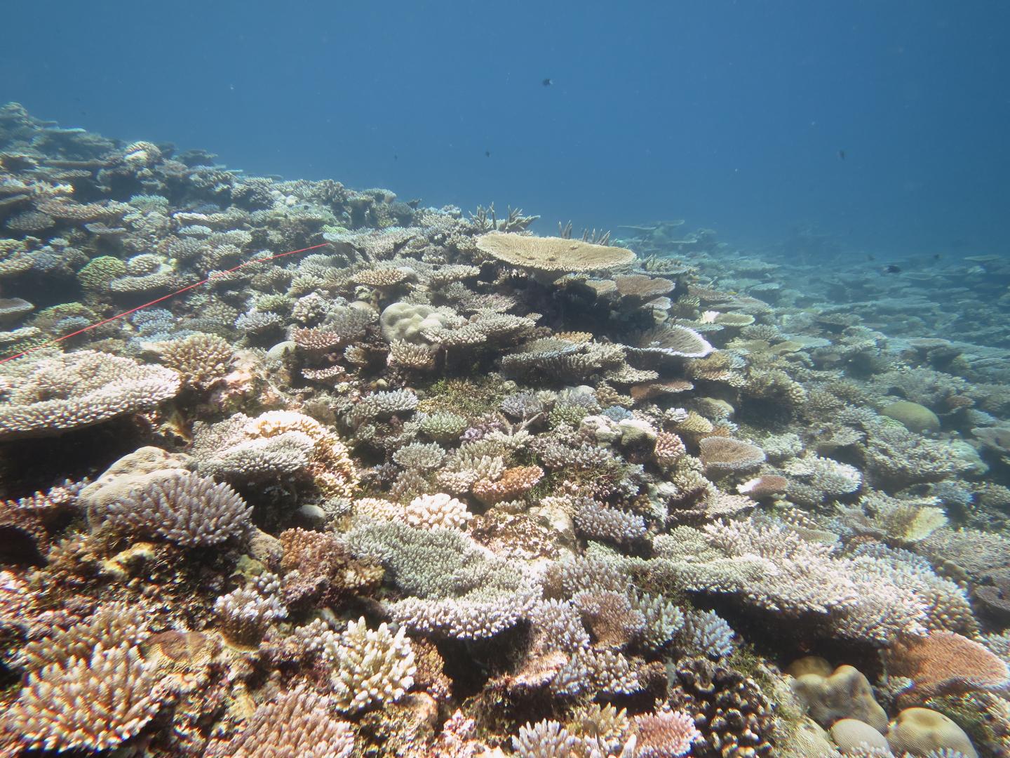
A new study by the Marine Laboratory at the University of Guam may help researchers predict coral bleaching months earlier than current tools, and, for the first time, may help predict invasion events of coral-eating crown-of-thorns starfish. The study was published on May 8 in Scientific Reports , a peer-reviewed journal published by Nature Research.

Coral bleaching and the crown-of-thorns starfish represent the two biggest disturbances coral reefs face, while local stressors like pollution and overfishing represent the two biggest impediments to recovery following disturbances.

Unlike other prediction tools, this study used the interaction of two major oceanographic modulators -- El Nin?o and Pacific Decadal Oscillation, or PDO -- to predict how "warm blobs" of seawater and excess nutrients move around the tropical Western Pacific to cause these two destructive events. Existing tools typically provide bleaching warnings two to three weeks in advance; however, this new tool extends the warning period to between three and five months.

Important implications

Advanced warnings have important implications for coral reef management efforts in the Pacific region and potentially beyond.

"It takes management from a reactive position to a more proactive one," said senior author Peter Houk, an associate professor of marine biology in the Marine Lab. "Not a lot can be accomplished with only a couple weeks' notice, but predicting bleaching and starfish disturbance events a few months out may give governments and other agencies more time to acquire supplies, create legislation, and create support networks to ensure reefs are better equipped to handle these forces."

For example, it allows more time to revise temporary fisheries regulations, raise funds for the removal of starfish, and procure supplies needed to support these acts. The authors have predicted outbreaks of starfish to emerge in Eastern Micronesia this year, providing time for Kosrae's tourism industry and resources agencies to gather supplies and build monitoring and removal plans now. Further, the authors can provide warnings for other islands down current to be on the lookout as starfish outbreaks are known to spread across islands and reefs in the direction of prevailing currents.

An unanswered question

Above-average sea-surface temperatures are common across the tropical Pacific following El Nin?o Southern Oscillation events, which are increasingly exacerbated by climate change. However, islands -- from Palau to Kosrae -- can be affected differently. One may bleach, while another experiences little to none.

That question motivated researchers to study the impact of El Nin?o interacting with the PDO. Together, the two patterns predict maximum sea-surface temperatures and also the movement of "nutrient plumes" filled with what is known as "chlorophyll a" around the Pacific Ocean that attract plankton and cause the crown-of-thorns starfish outbreaks that wreak havoc on coral. Both sea-surface temperatures and nutrient plumes have been mapped by satellites for years; however, predicting their future has been a challenge.

Predictions based on decades of data

The researchers analyzed sea temperatures dating back to 1980 and biological data dating back to 1998, including coral cover and chlorophyll a plumes, from 82 survey sites on the main islands of Micronesia to track how they are influenced by the interaction of these two cycles.

Using those observations, they built models that accurately predicted both sea surface temperatures and nutrients. The models accounted for 77% of the variation in sea temperature and 55% of the variation in chlorophyll a concentrations between 1980 to the present, both of which support strong predictions.

The study shows that including PDO events into forecasts may improve predictions of when and where bleaching and starfish outbreaks will occur. The next step will be to build an online resource to host the predictive model for scientists and resources managers to access and to keep improving the model to the extent possible.

"We provide the first insight into how PDO and El Niño cycles predicted sea-surface temperatures, chlorophyll a concentrations, and changes to coral cover across the tropical north Pacific Ocean," the authors said. "These results may be transferrable to other oceanic regions to help predict coral reef status at even larger scales."

###

Houk's co-authors include graduate students Christy Starsinic and Andrew McInnis of the Marine Lab, as well as numerous regional researchers including Anthony Yalon of the Yap Community Action Program, Selino Maxin of the Conservation Society of Pohnpei, Marine Gouezo and Yimnang Golbuu of Palau International Coral Reef Center, and Robert van Woesik of the Florida Institute of Technology.

Read the full study at https://www.nature.com/articles/s41598-020-64411-8 .

Scientific Reports

10.1038/s41598-020-64411-8

Keywords

Article Information

Contact Information

Jonas Macapinlac
jmac@triton.uog.edu

Source

How to Cite This Article

APA:
University of Guam. (2020, July 8). University of Guam: Two climate patterns predict coral bleaching months earlier. Brightsurf News. https://www.brightsurf.com/news/L7VDQZ48/university-of-guam-two-climate-patterns-predict-coral-bleaching-months-earlier.html
MLA:
"University of Guam: Two climate patterns predict coral bleaching months earlier." Brightsurf News, Jul. 8 2020, https://www.brightsurf.com/news/L7VDQZ48/university-of-guam-two-climate-patterns-predict-coral-bleaching-months-earlier.html.