Bluesky Facebook Reddit Email

NASA-NOAA's Suomi NPP satellite sees powerful Cyclone Felleng

01.30.13 | NASA/Goddard Space Flight Center

Rigol DP832 Triple-Output Bench Power Supply

Rigol DP832 Triple-Output Bench Power Supply powers sensors, microcontrollers, and test circuits with programmable rails and stable outputs.


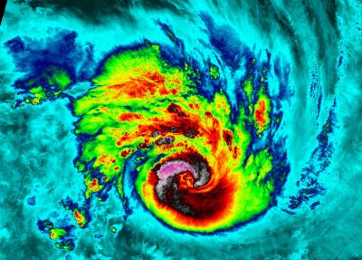
False-colored night-time satellite imagery from NASA-NOAA's Suomi NPP satellite clearly shows bands of thunderstorms wrapping into the eye of Cyclone Felleng as it parallels the coast of eastern Madagascar.

The Visible Infrared Imager Radiometer Suite (VIIRS) aboard NASA-NOAA's Suomi NPP satellite captured a night-time image of Cyclone Felleng when it was located east of Madagascar (4:09 p.m. EST/Jan. 30 at 12:09 a.m. local time, Madagascar). The image was created at the University of Wisconsin-Madison and was false colored to reveal temperatures. The image shows powerful thunderstorms wrapping into the 20 nautical mile-wide (23 miles / 37 km) eye of the storm.

Felleng has intensified since Jan. 29 and as of 1500 UTC (10 a.m. EST) on Jan. 30, had maximum sustained winds near 115 knots (132.3 mph/213 kph). Felling is centered near 16.2 south and 52.6 east, about 400 nautical miles (460.3 miles/741 km) north-northwest of La Reunion Island. Felleng is moving to the southwest at 13 knots (15 mph/24 kph) and is a threat to both Madagascar and La Reunion. The storm is creating dangerous seas, with wave heights up to 38 feet (11.5 meters).

La Reunion has already issued a Yellow Alert. For updates (in French), visit: http://www.meteo.fr/temps/domtom/La_Reunion/meteoreunion2/#

Felleng is turning towards the south and continues to intensify. The Joint Typhoon Warning Center expects Felleng to pass between La Reunion and Madagascar.

Keywords

Contact Information

Rob Gutro
NASA/Goddard Space Flight Center
Robert.j.gutro@nasa.gov

Source

How to Cite This Article

APA:
NASA/Goddard Space Flight Center. (2013, January 30). NASA-NOAA's Suomi NPP satellite sees powerful Cyclone Felleng. Brightsurf News. https://www.brightsurf.com/news/LD5O06GL/nasa-noaas-suomi-npp-satellite-sees-powerful-cyclone-felleng.html
MLA:
"NASA-NOAA's Suomi NPP satellite sees powerful Cyclone Felleng." Brightsurf News, Jan. 30 2013, https://www.brightsurf.com/news/LD5O06GL/nasa-noaas-suomi-npp-satellite-sees-powerful-cyclone-felleng.html.