Bluesky Facebook Reddit Email

NASA sees super Typhoon Jelawat Affecting Japan

09.28.12 | NASA/Goddard Space Flight Center

Apple iPhone 17 Pro

Apple iPhone 17 Pro delivers top performance and advanced cameras for field documentation, data collection, and secure research communications.


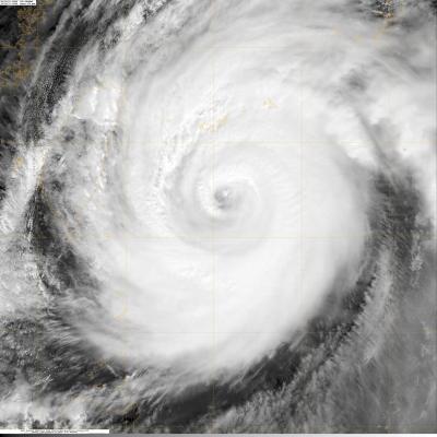
Super Typhoon Jelawat is a large and powerful storm that has been bringing very rough seas to areas in the western North Pacific. NASA's Terra satellite passed over the monster storm and captured a visible image as it nears the big island of Japan.

NASA's Terra satellite passed over Super Typhoon Jelawat on Sept. 28 at 0238UTC (10:38 p.m. EDT, Sept. 27) and the Moderate Resolution Imaging Spectroradiometer captured an infrared image as the storm approaches Okinawa, Japan.

Jelawat's center passed by Ishigaki-jima by 1500 UTC (11 a.m. EDT) on Sept. 28 and was approaching Okinawa, the island that houses Kadena Air Base. Ishigaki is a Japanese island, located west of Okinawa and is the second-largest in islands known as Yaeyama Island group.

On Sept. 28 at 1500 UTC (11 a.m. EDT) Jelawat had maximum sustained winds near 110 knots (126.6 mph/203.7 kmh). That makes Jelawat a category three typhoon on the Saffir-Simpson scale. Jelawat was located near 24.6 North latitude and 125.6 East longitude, about 190 nautical miles (218.6 miles/352 km) southwest of Kadena Air Base, Okinawa. It is moving to the northeast at 10 knots (11.5 mph/18.5 kmh) and generating very rough seas, with waves as high as 40 feet (12.1 meters).

The center of Jelawat is expected to pass near or over Okinawa. The Facebook page for Kadena Air Base noted that the base is at warning level TCCOR-1 which means "Destructive sustained winds of 50 knots or greater are expected within 12 hours (or within four hours as of 2 p.m. EDT on Sept. 28)."

By Sept. 30, Jelawat is expected to be tracking off-shore from Japan's big island as it continues moving to the northeast in open waters

Keywords

Contact Information

Source

How to Cite This Article

APA:
NASA/Goddard Space Flight Center. (2012, September 28). NASA sees super Typhoon Jelawat Affecting Japan. Brightsurf News. https://www.brightsurf.com/news/LR5G50O8/nasa-sees-super-typhoon-jelawat-affecting-japan.html
MLA:
"NASA sees super Typhoon Jelawat Affecting Japan." Brightsurf News, Sep. 28 2012, https://www.brightsurf.com/news/LR5G50O8/nasa-sees-super-typhoon-jelawat-affecting-japan.html.