Bluesky Facebook Reddit Email

Satellites show different sides of Hurricane Irma

09.07.17 | NASA/Goddard Space Flight Center

Anker Laptop Power Bank 25,000mAh (Triple 100W USB-C)

Anker Laptop Power Bank 25,000mAh (Triple 100W USB-C) keeps Macs, tablets, and meters powered during extended observing runs and remote surveys.


Satellite imagery from NASA's Aqua satellite and NASA-NOAA's Suomi NPP satellite have provided different data on the still Category 5 Hurricane Irma as it headed for the Turks and Caicos Islands.

NASA's Aqua Satellite Imagery

On Sept. 6 at 1:45 p.m. EDT (1745 UTC) the Moderate Resolution Imaging Spectroradiometer or MODIS instrument aboard NASA's Aqua satellite captured a visible-light image of Hurricane Irma over the Leeward Islands and Puerto Rico. The image revealed a clear eye with powerful bands of thunderstorms circling the eye.

On Sept. 7, when Aqua passed over Irma again, another instrument aboard Aqua gathered temperature data on the storm's clouds, which tell forecasters where the strongest parts of the hurricane is located. The colder the cloud tops, the higher the storm, and the stronger it is.

The Atmospheric Infrared Sounder or AIRS instrument aboard NASA's Aqua satellite captured infrared temperature data on Hurricane Irma on Sept. 7 at 1:47 a.m. EDT (0547 UTC). The image showed a clear eye and very cold cloud top temperatures as cold as cold as minus 83.1 degrees Celsius (minus 117.7 degrees Fahrenheit). NASA-NOAA's Suomi NPP satellite confirmed that data. At that time, the southwestern quadrant of the storm was over Puerto Rico.

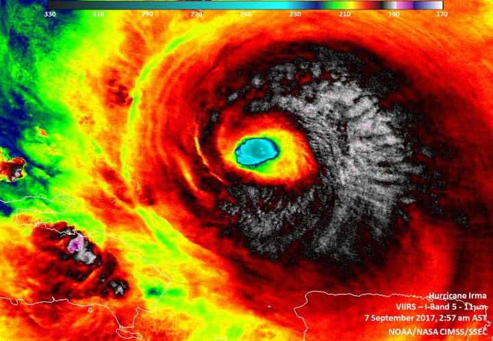
Suomi NPP Satellite Collects Night-Time Data on Irma

At 2:57 a.m. AST/EDT on Sept. 7, the VIIRS instrument on board the NOAA/NASA Suomi NPP satellite captured data on Irma as the storm passed to the northwest of the island of Puerto Rico. In a night-time image created by Suomi NPP's Day Night Band, the waning gibbous moon highlighted the convection around Irma's eye and tropospheric gravity waves were present around the well-defined eyewall.

Infrared imagery from Suomi NPP revealed cloud top temperatures as cold as 190 kelvin (minus 83.1 degrees Celsius/minus 117.7 degrees Fahrenheit) from Irma's northern quadrant, stretching through the eastern side to the south of the eye. Those cloud top temperatures indicated the most powerful storms in Irma, stretching high into the troposphere. NASA research has shown that cloud top temperatures that cold can generate very heavy rain.

Watches and Warnings in Effect on Sept. 7

On Sept. 7, hurricane and storm surge watches are now in effect for portions of south Florida and the Florida Keys. There are many warnings and watches in effect.

A Storm Surge Watch is in effect from Jupiter Inlet southward around the Florida peninsula to Bonita Beach, Florida, and for the Florida Keys.

A Hurricane Warning is in effect for the Dominican Republic from Cabo Engano to the northern border with Haiti; Haiti from the northern border with the Dominican Republic to Le Mole St. Nicholas; the southeastern Bahamas and the Turks and Caicos Islands; the central Bahamas and the northwestern Bahamas.

A Hurricane Watch is in effect from Jupiter Inlet southward around the Florida peninsula to Bonita Beach, Florida, the Florida Keys, Lake Okeechobee, Florida Bay, and for Cuba from Matanzas province eastward to Guantanamo province. A Tropical Storm Warning is in effect for the Dominican Republic from south of Cabo Engano westward to the southern border with Haiti; Haiti from south of Le Mole St. Nicholas to Port-Au-Prince; Cuba provinces of Guantanamo, Holguin, Las Tunas, Camaguey, Ciego de Avila, Sancti Spiritus and Villa Clara.

NHC Official Location for Irma on Sept. 7

At 11 a.m. EDT (1500 UTC) the National Hurricane Center (NHC) said that the distinct eye of Hurricane Irma was located near 20.4 degrees north latitude and 69.7 degrees west longitude.

Irma was moving toward the west-northwest near 16 mph (26 kph), and this general motion is expected to continue with some decrease in forward speed for the next couple of days. On the forecast track, the eye of Irma should continue to move just north of the coast of Hispaniola today, be near the Turks and Caicos and southeastern Bahamas by this evening, and then be near the central Bahamas by Friday, Sept. 8.

Maximum sustained winds are near 175 mph (280 kph) with higher gusts. Irma is a category 5 hurricane on the Saffir-Simpson Hurricane Wind Scale. Some fluctuations in intensity are likely during the next day or two, but Irma is forecast to remain a powerful category 4 or 5 hurricane during the next couple of days. The minimum central pressure reported by an Air Force plane was 921 millibars.

NHC forecaster Lixion Avila noted "There are no obvious reasons why Irma will not remain a powerful hurricane for the next 3 days while approaching Florida. Thereafter, an increase in the wind shear could lead to gradual weakening, but Irma is expected to remain a major hurricane until landfall occurs."

For updated forecasts on Irma, visit: http://www.nhc.noaa.gov .

###

Keywords

Contact Information

Source

How to Cite This Article

APA:
NASA/Goddard Space Flight Center. (2017, September 7). Satellites show different sides of Hurricane Irma. Brightsurf News. https://www.brightsurf.com/news/19VM6NQ8/satellites-show-different-sides-of-hurricane-irma.html
MLA:
"Satellites show different sides of Hurricane Irma." Brightsurf News, Sep. 7 2017, https://www.brightsurf.com/news/19VM6NQ8/satellites-show-different-sides-of-hurricane-irma.html.