Bluesky Facebook Reddit Email

NASA-NOAA satellite analyzes a strengthening Typhoon Kammuri

11.29.19 | NASA/Goddard Space Flight Center

Celestron NexStar 8SE Computerized Telescope

Celestron NexStar 8SE Computerized Telescope combines portable Schmidt-Cassegrain optics with GoTo pointing for outreach nights and field campaigns.


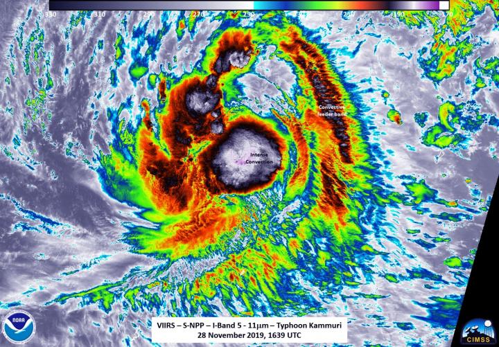
NASA-NOAA's Suomi NPP satellite provided forecasters with infrared and nighttime views of Typhoon Kammuri that showed the storm continued to strengthen. Satellite imagery provided a look at the clouds and storms over the storm's developing eye.

Visible, infrared and microwave imagery from NASA satellites help forecasters understand if a storm is organizing or weakening. The Visible Infrared Imaging Radiometer Suite (VIIRS) instrument aboard NASA-NOAA'S Suomi NPP provided an infrared and nighttime image of Kammuri on Nov. 28 at 1:39 p.m. EST (1639 UTC) that shows it is consolidating and strengthening. The circulation was obscured by the central dense overcast or CDO. CDO is a large central area of thunderstorms surrounding its circulation center, caused by the formation of its eyewall. It can be round, angular, oval, or irregular in shape.

Suomi NPP found a noticeable increase in the size of the CDO, perhaps an indication of some strengthening of the storm.

William Straka III, a researcher at the University of Wisconsin, Madison, Space Science and Engineering Center's Cooperative Institute for Meteorological Satellite Studies used the satellite data to create imagery. Straka said, "Collocated observations of the location of the CDO and microwave imagery are important to help measure the intensity of a tropical cyclone, by seeing how far the center of circulation is within the storm and the temperature difference in the cloud tops in the CDO. Since microwave imagers can see 'into the cloud,' this helps in determining the location of the tropical system."

Straka also noted "However, an important thing to note is that the circulation in one satellite channel is not completely surrounded by the convection."

At 7 p.m. CHST, local time, Guam (4 a.m. EST/0900 UTC) on Nov. 29, the National Weather Service in Tiyan, Guam noted that the center of typhoon Kammuri was located near latitude 14.5 degrees north and longitude 137.3 degrees east. That puts the eye of Kammuri about 350 miles north-northwest of Ulithi, 350 miles north of Yap, 395 miles north-northwest of Fais and 505 miles west of Guam.

Kammuri is moving west-northwest at 7 mph. It is expected to make a turn toward the west-southwest with a slight increase in forward speed over the next 24 hours. Maximum sustained winds have increased to 85 mph. Kammuri is forecast to maintain this intensity through Saturday, Nov. 30. Typhoon force winds extend outward from the center up to 35 miles. Tropical storm force winds extend outward from the Center up to 145 miles.

The forecast track for Kammuri takes the storm due west toward the Philippines. The forecast from Joint Typhoon Warning Center has Kammuri intensifying to about 125 knots (144 mph/232 kph) by December 1, 2019, which would be the equivalent to a Category 4 storm in the Atlantic. The storm is expected to make landfall in the central and northern Philippines on Dec. 3.

Typhoons and hurricanes are the most powerful weather event on Earth. NASA's expertise in space and scientific exploration contributes to essential services provided to the American people by other federal agencies, such as hurricane weather forecasting.

###

For updated forecasts. Visit: https://www.weather.gov/gum/Cyclones

Keywords

Contact Information

Source

How to Cite This Article

APA:
NASA/Goddard Space Flight Center. (2019, November 29). NASA-NOAA satellite analyzes a strengthening Typhoon Kammuri. Brightsurf News. https://www.brightsurf.com/news/L7VXNED8/nasa-noaa-satellite-analyzes-a-strengthening-typhoon-kammuri.html
MLA:
"NASA-NOAA satellite analyzes a strengthening Typhoon Kammuri." Brightsurf News, Nov. 29 2019, https://www.brightsurf.com/news/L7VXNED8/nasa-noaa-satellite-analyzes-a-strengthening-typhoon-kammuri.html.