Bluesky Facebook Reddit Email

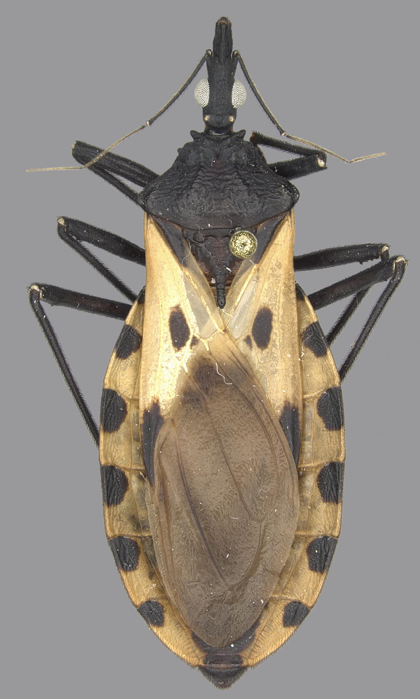
Scientists identify new hosts for Chagas Disease vectors

09.18.17 | University of California - Riverside

Rigol DP832 Triple-Output Bench Power Supply

Rigol DP832 Triple-Output Bench Power Supply powers sensors, microcontrollers, and test circuits with programmable rails and stable outputs.


RIVERSIDE, Calif. -- Solitary weasel-like animals called tayra might look pretty harmless, but some may actually be incubators for a parasite that causes Chagas disease, a chronic, debilitating condition that is spread by insects called kissing bugs and affects more than 8 million people worldwide. In a study published today in the journal PeerJ , researchers from the University of California, Riverside have identified several new hosts for parasite-spreading kissing bug species, including tayras, new world monkeys, sloths, porcupines, and coatis -- which are the South American cousins of racoons.

The research is important because, despite its prevalence, relatively little is known about the transmission of Chagas disease, a deadly, incurable condition that is most common in Latin America.

"There are 152 species of kissing bug, but we don't know much about most of them, including the animals they feed on that can act as reservoirs for the parasite. Overall, the existing data is piecemeal, scattered, and biased toward a handful of heavily studied and well-documented species, while little data exists for insects that are found in very secluded habitats," said Christiane Weirauch, a professor of entomology in UCR's College of Natural and Agricultural Sciences.

The UCR study not only increases our knowledge of Chagas disease transmission in rural environments, but also provides the most comprehensive review of animal hosts of the kissing bugs that spread Chagas disease. The research, led by Anna Georgieva, an undergraduate majoring in biology, and Eric Gordon, a graduate student researcher in Weirauch's lab, will support efforts to control the disease, particularly in poor, rural populations in South America.

Chagas disease is caused by the parasite Trypanosoma cruzi , which is transmitted to animals and humans by members of the assassin bug subfamily called kissing bugs that feed on blood and are named for their tendency to bite people around the mouth. According to the Centers for Disease Control and Prevention, kissing bugs become infected with T. cruzi by biting an infected animal or person and, once infected, they pass T. cruzi parasites in their feces. When they bite a person and ingest blood, they defecate on them. A person can become infected if bug feces enters their body through mucous membranes or skin lesions caused by the bite wound or scratching. Research also suggests that animals can become infected by eating other animals that harbor the parasite.

Although Chagas disease is common in rural areas, identifying new hosts among tree-dwelling, and sometimes nocturnal animals is a challenge. To sidestep this problem, the researchers identified new hosts by studying their blood -- which they isolated straight from the guts of kissing bugs. The sample included 64 kissing bug samples collected from Central and South America between 2005 and 2015 that were preserved in ethanol.

"Our modern approach using DNA allowed us to determine this wide variety of animal hosts without a bias towards ones that are already known, unlike some older detection methods" Georgieva said.

DNA analyses of the ingested blood revealed host associations for 24 of the samples. Among the newly identified hosts was the tayra, which has never before been named as a host for kissing bugs.

Gordon said the findings will help public health officials develop new methods to control Chagas disease. "Education and pesticide application around homes has helped reduce the impact of kissing bugs associated with homes and domestic animals, but now more and more cases of Chagas disease are driven by species most often associated with more rural hosts," Gordon said.

"One important consideration in controlling Chagas disease in wild animals is the possibility of bioaccumulation of the parasite in certain carnivores near the top of the food chain. If kissing bugs also feed on these carnivores, as has occurred for the tayra in our study, they are likely to be one of the important links in the transmission chain of the disease in the wild. If a vaccine becomes available one day in the future, they are good candidates to target for immunization to halt the natural spread of the parasite and potentially help to eradicate the pathogen."

###

PeerJ

10.7717/peerj.3826

Keywords

Article Information

Contact Information

Sarah Nightingale
sarah.nightingale@ucr.edu

Source

How to Cite This Article

APA:
University of California - Riverside. (2017, September 18). Scientists identify new hosts for Chagas Disease vectors. Brightsurf News. https://www.brightsurf.com/news/LK52YYN1/scientists-identify-new-hosts-for-chagas-disease-vectors.html
MLA:
"Scientists identify new hosts for Chagas Disease vectors." Brightsurf News, Sep. 18 2017, https://www.brightsurf.com/news/LK52YYN1/scientists-identify-new-hosts-for-chagas-disease-vectors.html.