Bluesky Facebook Reddit Email

A way to surmount supercooling

06.28.21 | Osaka University

SAMSUNG T9 Portable SSD 2TB

SAMSUNG T9 Portable SSD 2TB transfers large imagery and model outputs quickly between field laptops, lab workstations, and secure archives.


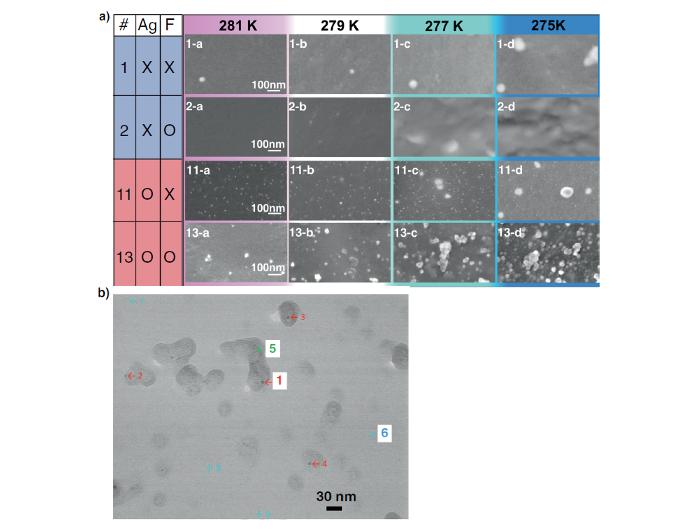
Osaka, Japan - Scientists at Osaka University, Panasonic Corporation, and Waseda University used scanning electron microscopy (SEM) and X-ray absorption spectroscopy to determine which additives induce crystallization in supercooled aqueous solutions. This work may lead to the development of new energy storage materials based on latent heat.

If you put a bottle of water into the freezer, you will expect to pull out a solid cylinder of ice after a few hours. However, if the water has very few impurities and left undisturbed, it may not be frozen, and instead remain as a supercooled liquid. Be careful, because this state is very unstable, and the water will crystallize quickly if shaken or impurities are added - as many YouTube videos will attest. Supercooling is a phenomenon in which an aqueous solution maintains its liquid state without solidifying, even though its temperature is below the freezing point. Although many studies have been done on additives that trigger the freezing of supercooling liquids, the details of the mechanism are unknown. One potential application might be latent heat storage materials, which rely on freezing and melting to capture and later release heat, like a reusable freezer pack.

Now, a team of researchers led by Osaka University has shown that silver nanoparticles are very effective at inducing crystallization in clathrate hydrates. Clathrate hydrates physically look like ice and are composed of hydrogen-bonded water cages with guest molecules inside. "Using SEM with the freeze-fracture replica method, we captured the moment when a nascent cluster enveloped a silver nanoparticle in the aqueous solution of latent heat storage materials," corresponding author Professor Takeshi Sugahara explains. This occurs because the nanoparticles serve as a "seed," or nucleation site, for tiny clusters to form. Once this gets started, the remaining solute and water molecules can quickly form additional clusters and then cluster densification leads to the crystallization. The researchers found that while silver nanoparticles tended to accelerate the formation of these clusters, other metal nanoparticles, such as palladium, gold, and iridium do not promote crystallization. "The supercooling suppression effect obtained in the present study will contribute to achieve the practical use of clathrate hydrates as latent heat storage materials," Professor Sugahara says. Material design guidelines for enhanced supercooling control, as described in this study, may lead to the application of latent heat storage materials in solar energy and heat recovery technologies with improved efficiency.

###

The article, "The moment of initial crystallization captured on functionalized nanoparticles" was published in Communications Materials at DOI: https://doi.org/10.1038/s43246-021-00171-w

About Osaka University

Osaka University was founded in 1931 as one of the seven imperial universities of Japan and is now one of Japan's leading comprehensive universities with a broad disciplinary spectrum. This strength is coupled with a singular drive for innovation that extends throughout the scientific process, from fundamental research to the creation of applied technology with positive economic impacts. Its commitment to innovation has been recognized in Japan and around the world, being named Japan's most innovative university in 2015 (Reuters 2015 Top 100) and one of the most innovative institutions in the world in 2017 (Innovative Universities and the Nature Index Innovation 2017). Now, Osaka University is leveraging its role as a Designated National University Corporation selected by the Ministry of Education, Culture, Sports, Science and Technology to contribute to innovation for human welfare, sustainable development of society, and social transformation.

Website: https://resou.osaka-u.ac.jp/en

Communications Materials

10.1038/s43246-021-00171-w

Keywords

Article Information

Contact Information

Saori Obayashi
Osaka University
gi-strategy@cgin.osaka-u.ac.jp

Source

How to Cite This Article

APA:
Osaka University. (2021, June 28). A way to surmount supercooling. Brightsurf News. https://www.brightsurf.com/news/LRD5JR58/a-way-to-surmount-supercooling.html
MLA:
"A way to surmount supercooling." Brightsurf News, Jun. 28 2021, https://www.brightsurf.com/news/LRD5JR58/a-way-to-surmount-supercooling.html.