Bluesky Facebook Reddit Email

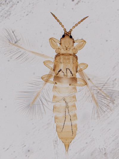
Litter-dwelling thrips live mainly in tropical and subtropical regions

06.18.14 | Pensoft Publishers

SAMSUNG T9 Portable SSD 2TB

SAMSUNG T9 Portable SSD 2TB transfers large imagery and model outputs quickly between field laptops, lab workstations, and secure archives.


The species diversity in soil fauna has been studied in temperate regions for more than 50 years, but with scarcely any mention of thrips. This lack of reference to thrips raises the question whether or not litter-dwelling thrips are distributed only in tropical and sub-tropical regions.

To answer this question a total 150 leaf litter samples were collected from 6 natural reserves located in three climatic regions, temperate, subtropical and tropical, along a 4100 km latitudinal gradient in East China. The survey was done over a four-year period by Dr Jun Wang, who is a thrips specialist and an assistant professor at the College of Plant Science, Jilin University , China. His results have been published in the open access journal ZooKeys

'Thrips constitute over 3.0% of total litter–dwelling macroinvertebrate individuals in 4 natural reserves from subtropical and tropical zone', said Dr Wang. 'In contrast, it constitute only 0.3% in the warm temperate natural reserves, and no thrips is collected in a mid temperate reserve. '

Dr Wang said that the order on the average species numbers per plot of litter thrips was tropic followed by subtropics followed by temperate. Mean density of litter thrips per plots in the tropics and subtropics was significantly higher than that in the temperate region.

Dr. Laurence Mound, CSIRO Entomology, Australia commented that this manuscript is the the first serious attempt to look at the diversity of thrips in leaf-litter, based on a good sampling strategy, and investigating the variation with latitude.

Original source

Wang J, Tong X, Wu D (2014) The effect of latitudinal gradient on the species diversity of Chinese litter-dwelling thrips. ZooKeys 417: 9. doi: 10.3897/zookeys.417.7895

ZooKeys

Keywords

Article Information

Contact Information

How to Cite This Article

APA:
Pensoft Publishers. (2014, June 18). Litter-dwelling thrips live mainly in tropical and subtropical regions. Brightsurf News. https://www.brightsurf.com/news/LM2GNQRL/litter-dwelling-thrips-live-mainly-in-tropical-and-subtropical-regions.html
MLA:
"Litter-dwelling thrips live mainly in tropical and subtropical regions." Brightsurf News, Jun. 18 2014, https://www.brightsurf.com/news/LM2GNQRL/litter-dwelling-thrips-live-mainly-in-tropical-and-subtropical-regions.html.